Puede seguir las actualizaciones de última hora del huracán Milton en este enlace
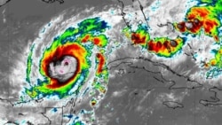
Con vientos máximos de 230 km/h y ráfagas superiores, el huracán Milton crece en tamaño a medida que se acerca a la costa oeste de Florida, de acuerdo con el boletín de las 2:00 p.m. del Centro Nacional de Huracanes.
Marejadas ciclónicas, vientos y lluvias han afectado el occidente de Cuba provocando inundaciones costeras en el litoral norte occidental, incluido el Malecón habanero.
En la trayectoria de pronóstico, el centro de Milton se moverá a través del este del Golfo de México hoy, tocará tierra a lo largo de la costa oeste y centro de Florida esta noche, y se moverá frente a la costa este de Florida sobre el Océano Atlántico oeste el jueves.
Testimonios recogidos por Martí Noticias describen cómo se ha sentido el impacto de este poderoso huracán en la isla.
Andy, un residente de Surgidero de Batabanó, en la costa sur de la provincia de Mayabeque, contó a nuestra redacción que las penetraciones del mar cubrían medio kilómetro tierra adentro.
"El viento sí se siente fuerte", dijo.
Residentes de la comunidad El Guayabo, a pocos kilómetros de la ciudad de Pinar del Río, contaron a nuestra redacción que hasta el momento solo han sentido las rachas fuertes.
Un vecino de la comunidad de Boca de Camarioca, en Matanzas, dijo que desde la mañana "llueve mucho y hay ráfagas de vientos fuertes".
El paso del Huracán Milton ha provocado también inundaciones en el Malecón habanero, golpeado recientemente por Helene.
"Inundaciones en zonas bajas e incremento del oleaje en áreas del malecón habanero son algunos de los efectos del potente huracán Milton en la capital cubana", recoge una nota de las autoridades locales.
Imágenes compartidas por la agencia Reuters muestran cómo el agua ha dejado a localidades inundadas.
La más reciente actualización del Instituto Nacional de Meteorología de Cuba (Insmet) indica que durante la tarde de este miércoles "los vientos desde Pinar del Río hasta Matanzas serán del sur al suroeste, con velocidades entre 35 y 50 kilómetros por hora, con rachas superiores".
"En el resto del país los vientos serán del sur al suroeste con velocidades entre 10 y 25 kilómetros por hora. Habrá fuertes marejadas en ambas costas occidentales con inundaciones costeras de ligeras a moderadas en la costa sur desde Pinar del Río hasta Mayabeque e inundaciones costeras moderadas en la costa norte occidental, incluido el malecón habanero. Habrá oleaje en la costa sur central y poco oleaje en el resto de los litorales", detalla.
El meteorólogo cubano Alfredo Finalé explicó a Martí Noticias que lo más peligroso para el occidente de Cuba hoy son las fuertes marejadas tanto en la costa sur, desde Matanzas hasta Pinar del Río, incluido el municipio especial Isla de la Juventud y en la norte desde Pinar del Río, Artemisa, La Habana, e incluso Matanzas.
Cuba emitió eeste miércoles un aviso de ciclón tropical en el que advirtió de las fuertes marejadas e inundaciones costeras como consecuencia del huracán Milton.
Foro